USD
M2

Meiveld 11.552 m2 - USD 2,888,000

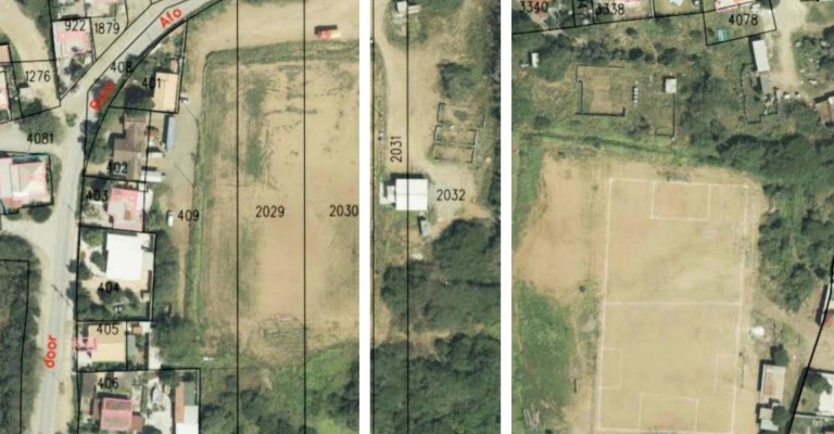
Prime Development Land for Sale in Meiveld, Aruba – 11,552 m²

An exceptional opportunity to acquire a large parcel of full ownership land in the desirable area of Meiveld, Aruba. With a total size of approximately 11.552 m² (consisting of lots 2031 and 2032), this property offers outstanding potential for a wide range of development projects. The width of the land is approximately 57 meters and the length is approximately 200 meters. 

Ideally located between Santa Cruz and Oranjestad, the land benefits from excellent accessibility while maintaining a peaceful and spacious setting. Its strategic position makes it perfect for residential development, a private estate, or a mixed-use project.

Surrounded by established neighborhoods and open space, this property provides both convenience and flexibility for investors and developers looking to capitalize on Aruba’s growing real estate market.

Key Features:

  • Full ownership land (not lease land)
  • Generous size: 11,552 m²
  • Centrally located between Santa Cruz and Oranjestad
  • Suitable for various development opportunities
  • Easy access to main roads and nearby amenities

Whether you are looking to build, invest, or develop, this property presents a rare chance to secure a substantial piece of land in a prime location.

Contact Rudolph Kok for more information.

Phone: +(297) 280 0047 or +(297) 592 8167

Email: rudolph.kok@bhhsaruba.com

Download brochure
Features
  • Property ID: #959
  • Lot size: 11.552 m2
Show on map